예약내역
|
로그인
|
회원가입
|
고객센터
실시간예약
조황정보
먹물조황
선박소개
공지사항
기상안내
1:1문의하기
조황관리
HOME /
조황관리
/ 상세정보
제목 :
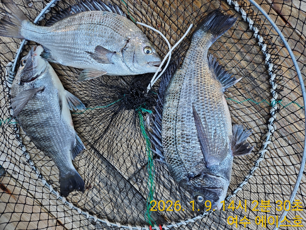
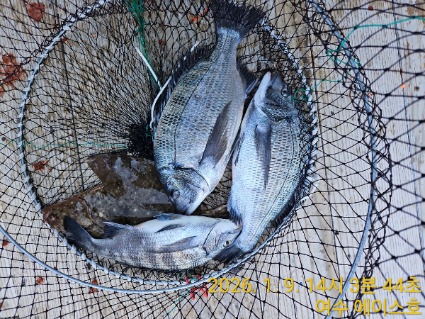
오늘도 제법잡았습니다
복사
등록일 :
2026-01-09
48 ㆍ45 ㆍ40 총 10여수
했습니다
굳은날씨 때문에 고전하였지만
진한 손맛보고 왔습니다
내일 부터는 기상이 안좋아서
좋아지는 데로 출조하겠습니다
같이 하신 조사님들 수고많으셨습니다
*** 여수 에이스호 예약 안내 ***
예약문의 : 010-3161-1360
오시는길 : 전남 여수시 신월5길 44
홈페이지 :
https://ysace.sunsang24.com/
이전글
다음글
조황관리목록
Top