예약내역
|
로그인
|
회원가입
|
고객센터
실시간예약
조황정보
먹물조황
선박소개
공지사항
기상안내
1:1문의하기
조황관리
HOME /
조황관리
/ 상세정보
제목 :
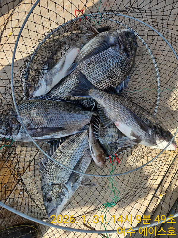
55급까지 좀잡았습니다
복사
등록일 :
2026-01-31
네분이서
55 ㆍ53 ㆍ50 총 10여수
했습니다
씨알들이 좋아서
진한 손맛보고 왔습니다
내일 자리여유있습니다
*** 여수 에이스호 예약 안내 ***
예약문의 : 010-3161-1360
오시는길 : 전남 여수시 신월5길 44
홈페이지 :
https://ysace.sunsang24.com/
이전글
다음글
조황관리목록
Top