예약내역
|
로그인
|
회원가입
|
고객센터
실시간예약
조황정보
먹물조황
선박소개
공지사항
기상안내
1:1문의하기
조황관리
HOME /
조황관리
/ 상세정보
제목 :
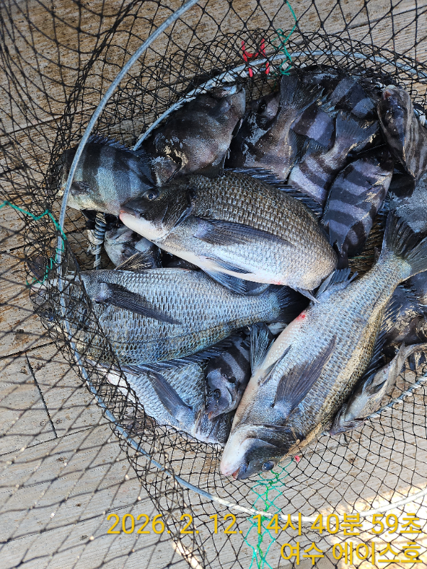
씨알은 좋은데 마릿수가 아쉬웠습니다
복사
등록일 :
2026-02-12
50급 부터 45까지
씨알좋은 감성돔 4수에
때아닌 뻰찌 20여수 하였습니다
감성돔 마릿수가 적어서
아쉬웠습니다
내일 부터 기상이 좋아저서
조금기대감이 있습니다
자리여유 있습니다
*** 여수 에이스호 예약 안내 ***
예약문의 : 010-3161-1360
오시는길 : 전남 여수시 신월5길 44
홈페이지 :
https://ysace.sunsang24.com/
이전글
다음글
조황관리목록
Top